Área de identificação
Código de referência
Título
Data(s)
- 1992 (Produção)
Nível de descrição
Dimensão e suporte
Projeto arquitetônico - 17 pranchas
O documento foi digitalizado
Área de contextualização
Nome do produtor
Nome do produtor
Entidade custodiadora
História do arquivo
Fonte imediata de aquisição ou transferência
Área de conteúdo e estrutura
Âmbito e conteúdo
Tipologia: Projeto arquitetônico
Descrição: Projeto do Arquivo Histórico Municipal - Adequação de Estrutura Metálica do antigo Hospital Carbone
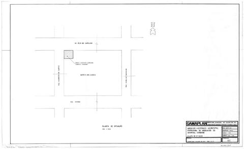
Prancha 01: Planta de situação
Prancha 02: Planta baixa - estrutura metálica a ser implantada sob o 1º pavimento
Prancha 03: Planta baixa - estrutura metálica a ser implantada sob o 2º pavimento
Prancha 04: Planta baixa - estrutura metálica a ser implantada sob o 3º pavimento
Prancha 05: Planta baixa das fundações e cortes
Prancha 06: Corte A-A
Prancha 07: Corte B-B
Prancha 08: Esquema de montagem de estruturas e ligações nos três pavimentos
Prancha 09: Detalhes do Vigamento V 100
Prancha 10: Detalhes do Vigamento V 200
Prancha 11: Detalhes do Vigamento V 200
Prancha 12: Detalhes do Vigamento V 300
Prancha 13: Detalhes de Pilares e colunetas
Prancha 14: Detalhes D 10
Prancha 15: Detalhes D 10 / D 20
Prancha 16: Detalhes D 20 / D 30
Prancha 17: Detalhes D 30 / D 40 / D 50
Memorial descritivo
Projeto 245/1992
Local: Avenida Julio de Castilhos esquina Rua Humberto de Campos, nº 318 - Caxias do Sul - RS
Data aproximada: Agosto e Setembro de 1992
Proprietário: Prefeitura Municipal de Caxias do Sul
Responsável: GAMAPLAN
Juliano de Ros - Engenheiro Civil
Mari Clara - Desenhos
Avaliação, seleção e eliminação
Incorporações
Sistema de arranjo
Área de condições de acesso e uso
Condições de acesso
Condiçoes de reprodução
Visando resguardar o interesse público e cumprir a legislação vigente sobre o direito autoral (Lei nº 9.610/98) e de acordo com a política nacional de arquivos públicos e privados (Lei nº 8.159/91), o usuário compromete-se a citar a autoria do documento reproduzido, bem como o nome da instituição que detém a guarda do original.
Em caso de citação de qualquer documento do acervo, o usuário compromete-se a realizar a indicação de fonte, autoria, local, data do documento e acervo.
É obrigatório manter a integridade da imagem do documento original. Estará sujeito à responsabilidade penal, civil e/ou administrativa aquele que utilizar os documentos reproduzidos de forma indevida.
É vedada a veiculação da imagem em sítios da internet e páginas de redes sociais.
Em caso de dúvida, entre em contato com a administração do Arquivo Histórico Municipal João Spadari Adami para solicitar esclarecimentos por meio do telefone: (54) 3901.1318 e do e-mail: arquivopublico@caxias.rs.gov.br
Idioma do material
Sistema de escrita do material
Notas ao idioma e script
Características físicas e requisitos técnicos
Suporte: Papel
Legibilidade: Boa
Conservação: Danificado, rasgado
Instrumentos de descrição
Área de materiais associados
Existência e localização de originais
Existência e localização de cópias
Unidades de descrição relacionadas
Área de notas
Nota
Projeto de reforma do Arquivo Histórico Municipal João Spadari Adami
